1 South Bay Close

1 South Bay Close 属单幢式设计,提供10伙,实用面积由173至5,748平方尺,提供1房至5房间隔。

平面图

收藏屋苑

屋苑资料

物业座数:
1座
发展商:
乐声
管理公司:
仲量联行物业管理有限公司
单位数目:
10伙
小学校网:
中学校网:
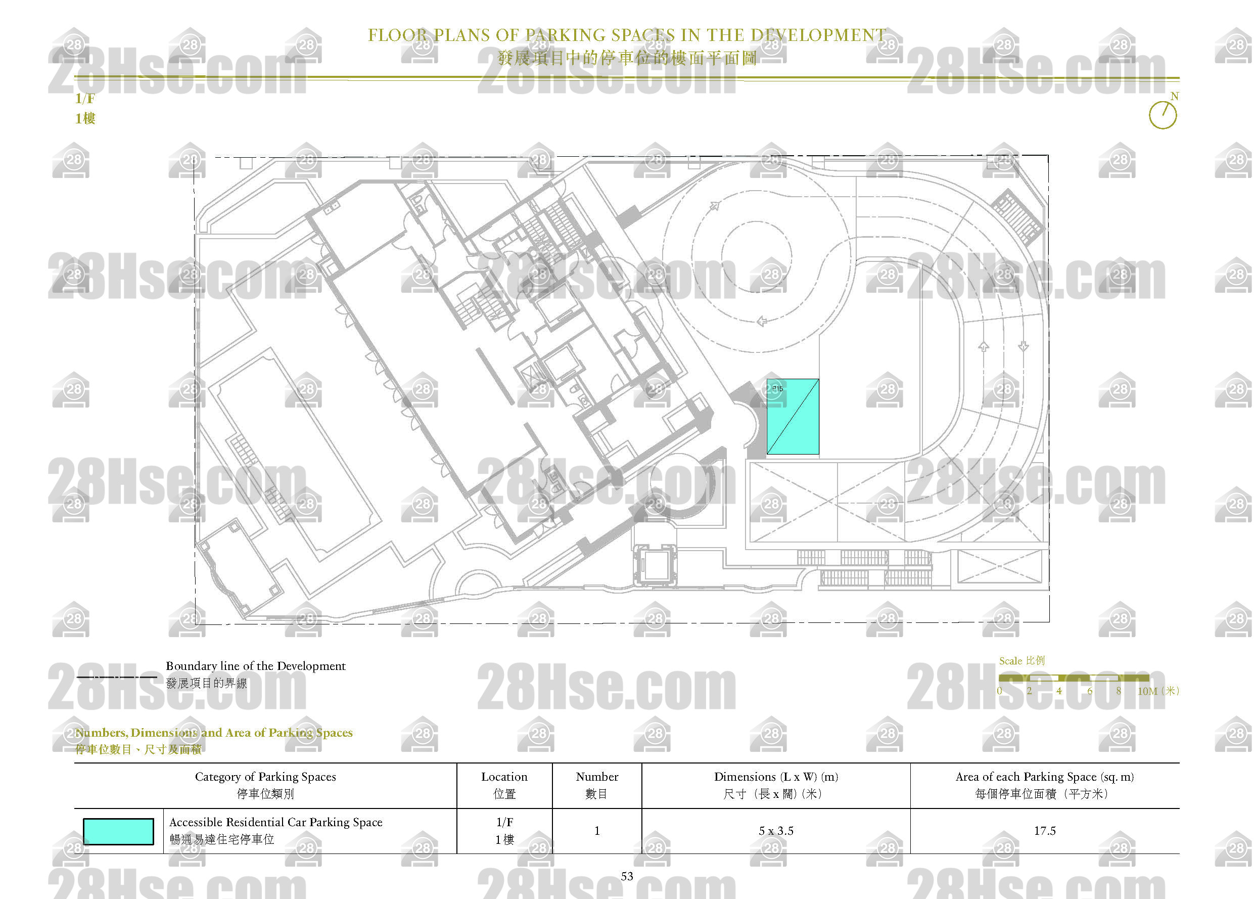
车位:
住宅停车位:14

地图

1 South Bay Close 地图
浅水湾别墅, 浅水湾道( 巴士站 )
291 米